안녕하세요

오늘은 조카와 단둘이 강원도여행2일차
저녁일정이었던 자사항바다낚시체험 글입니다.
강원도여행일정을 짜던중 인스타에서
처음 접하게된 장사항 바다낚시예요
평소 낚시하는걸 좋아하던 조카와
함께 저도 즐길 수 있는 체험이 아니였나 싶어요.

저기에서 노란색 울타리 안에서
바다낚시를 하는거예요~
물고기는 이미 그물안에 모여있고,
저희는 낚시질만 하면 슉슉 오라옵니다.

장사항 바다낚시 체험공원 이용가격은
낚시대1개 대여 1시간에 25,000원
동반입장료는 5,000원 입니다.
미끼 새우 2,000원
조카는 10살이여서 물고기가 물어도
땡기는 힘이 부족해서
저와 조카는 1개의 낚시대를 빌렸고,
1시간에 미끼포함 32,000원을 지불하였습니다.
인터넷으로 예매후 방문하면 천원 저렴해요.

쭈욱 길따라 온다음 이 다리를 건너면 됩니다.

장사항 바다낚시 체험하시는 곳에
화장실도 같이 있으니 화장실 걱정안하셔도되요.
화장실 이용 안해바서 깨끗한정도는 몰라용 ㅎㅎ

다리 지나가면서 찍은 물사진인데
진짜 너무 깨끗해서 안에가 다보였습니다.

장사항 바다낚시 가격은 위와같습니다.
1시간 외 4시간 반일권과 종일권 8시간을
판매하고 있으니 참고해주시면됩니다만,
개인적으로 계속 서있으려고 하니
저는 낚시 2시간도 힘들더라구요!
1대당 1시간당 최대 가능 수량은 3마리입니다.
1대로 2시간 하시면 6마리
2대로 1시간 하시면 6마리입니다.

낚시체험하는곳에 매점이 있어서
라면과 음료수 생수 등 구입할 수 있어요.
옆에서 라면 냄새 폴폴 나면 진짜
못참겠더라구요 ㅎㅎ

그리고 이곳은 내가 잡은 물고기 회뜨는곳입니다.
1마리당 3천원을 받고 있는데
이체만 가능해요.
3마리 잡아서 3마리 회뜨면
9,000원 추가비용이 발생합니다.

2천원으로 구매한 미끼새우입니다.


제가 미끼 못끼겠다고 하니까
목장갑끼고 야무지게 대신껴주는 조카..
역시 낚시 여러번 다니더니 든든합니다~

1시간 이용한다고 했는데
시간 5분 더 주셔서 잔여시간 63분 53초 입니다.
1시간 이용이 끝나면 삑삐삑 하면서
종료시간을 알려주십니다.

자신의 키보다 더 기다란 낚시대 들고
자세가 나오는거 같죠 ㅋㅋ
이렇게 서서 낚시하다보면
미꾸라지 타임이옵니다.
직원분께서 미꾸라지 달아드립니다.
하면 낚시대 들고 가시면 미꾸라지 끼워주세요!
미꾸라지가 새우보다 훨씬 입질이 잘 오니
미꾸라지타임 오면 달려가세요~

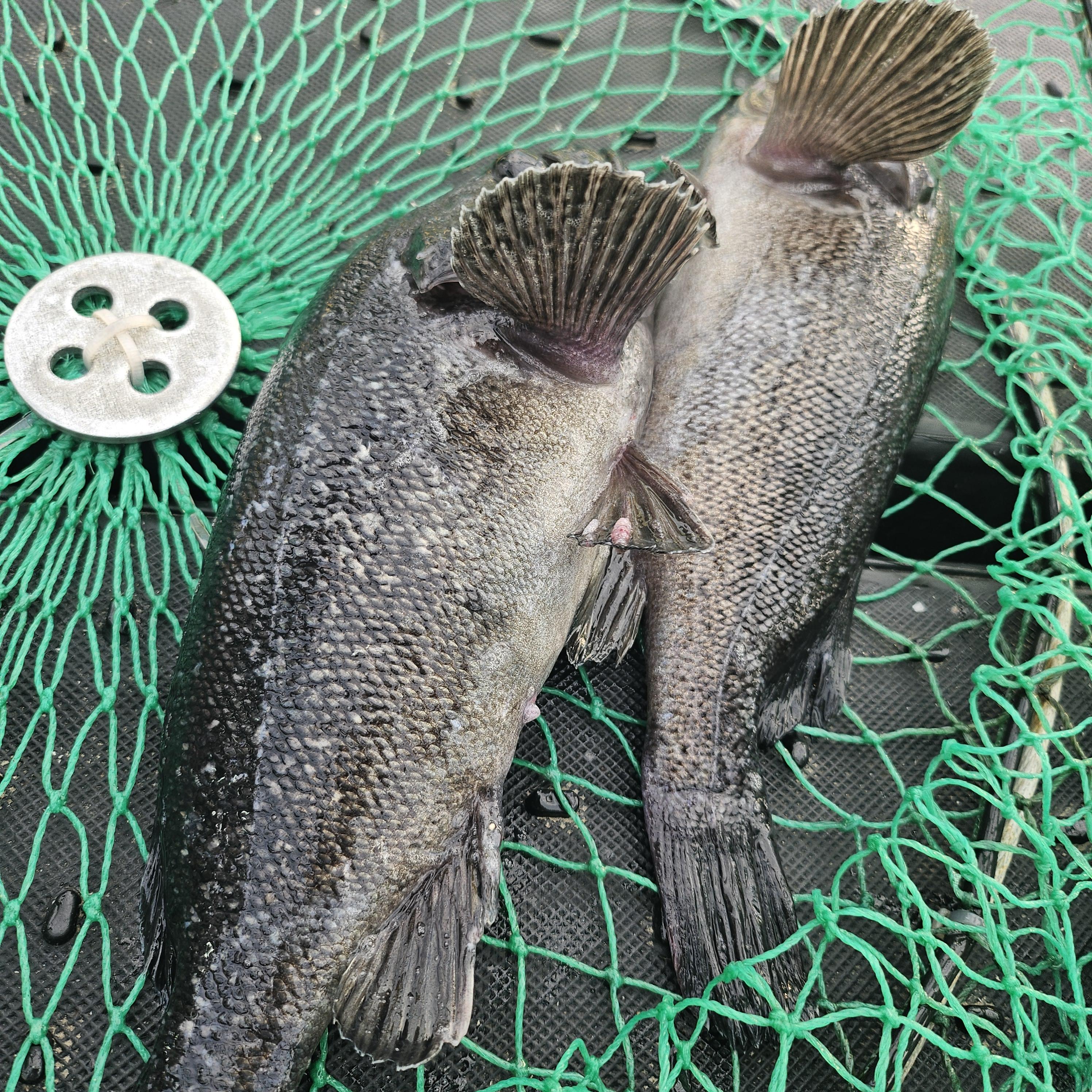
저희는 2시간해서 2마리 잡았어요.
옆에 분은 던지면 진짜 10초컷으로 올라오던데
저희는 진짜 안잡혔어요ㅠ
중앙으로 멀리 던져야지 잘잡히는것같습니다.
스킬부족으로 저희는 두마리로 만족!

꼬맹이 기념사진 한컷 찍어주고~

두마리 회떠서 집으로 갔어요 ㅎㅎ

배보다 배꼽이 더 큰 회입니다.
그래도 뜨자마자 바로먹으니까
진짜 입에서 살살 녹고,
저희가 직접 작은 우럭이여서그런지
더더더 맛있게 느껴졌어요.
아이와 속초여행 오신다면
장사항바다낚시체험 추천드립니다.

#강릉여행 #속초여행 #속초바다낚시 #바다낚시체험 #장사항바다낚시체험 #속초아이와 #강릉아이와
'국내여행' 카테고리의 다른 글
[수원] 아이와 함께 가기 좋은 카피바라가 있는 실내동물원 수달앤쥬 (5) | 2024.09.28 |
---|---|
[남양주] 남양주 이색데이트_ 스파디움24 가격 시설 등 정리 (3) | 2024.09.13 |
[강릉] 아이와 함께 방문하기 좋은 강릉생태체험박물관 자연아놀자 (3) | 2024.07.27 |
[강릉] 아이와 함께 방문하기 좋은 원더스카이 (5) | 2024.07.21 |
[대전] 베이스캠프 볼더스팟 클라이밍 둔산점 내돈내산후기 (0) | 2024.03.27 |